Météo-France
Comment lire une image satellite ?
22/12/2025Grâce à leurs instruments embarqués (imageur, sondeur ou radar), les satellites météorologiques surveillent une multitude de paramètres depuis l’espace. Les données satellitaires traitées par le Centre de météorologie spatiale (CMS) de Météo-France alimentent les modèles de prévision numérique du temps. Ces images sont cruciales pour les prévisionnistes et les climatologues. Les images satellite sont constituées de plusieurs canaux, notamment des canaux visibles et infrarouges. En combinant plusieurs canaux, on obtient ce que l’on appelle une image en composition colorée.
À quoi servent les images satellite ?
Les images satellite produites au Centre de météorologie spatiale de Météo-France servent principalement à :
- observer les nuages (classification, température et altitude du sommet, détection des orages, structures des tempêtes et des cyclones…) ;
- observer l’atmosphère (température, humidité, aérosols, panaches de cendres volcaniques, fumées d’incendies, concentration de certains gaz…) ;
- observer la surface de la terre (température des terres ou de la mer, flux radiatifs, indice de végétation, neige, incendies de forêt, cartographie de végétation, glaces de mer, force et direction du vent…).
Les données satellitaires sont exploitées par divers organismes nationaux et servent également à faire avancer la recherche pour améliorer la prévision météorologique et l’étude du climat.

Depuis le lancement du premier Meteosat en 1977, trois générations de satellites se sont succédé. Chacune a apporté des améliorations importantes en termes de résolution spatiale, temporelle et spectrale.
Lire aussi : Les satellites d’observation de la Terre
Comprendre une image satellite
1. Imagerie infrarouge
Le principe de l'infrarouge est la mesure du rayonnement émis par le sol ou par les nuages, qui dépend de la température de surface de l'objet, vue de l'espace. À titre d’exemple, les nuages d’orages ont des sommets très hauts et donc très froids. L’infrarouge permet d’estimer la température du sommet du nuage de jour et de nuit.
2. Imagerie visible
Cette imagerie visualise la densité des masses nuageuses éclairées par le soleil (quantité de lumière réfléchie par les nuages ou la surface de la Terre). Elle n'est donc pas exploitable de nuit. Elle ressemble à une photographie noir et blanc. La mer apparaît en noir (ou très foncée) car l'eau absorbe le rayonnement solaire.

Ci-dessus, image de l'ouragan Mélissa du 27/10/2025. De gauche à droite, l'image vue dans le canal visible, l'image dans le canal infrarouge en nuances de gris et cette même image infrarouge en ajoutant une palette de couleurs pour mieux voir les variations de température.
3. Imagerie en composition colorée
Cette imagerie exploite et combine les caractéristiques de plusieurs canaux visible et infrarouge. Son interprétation est complexe, mais permet d’obtenir de nombreuses informations. Les prévisionnistes de Météo-France ont accès à des dizaines d’images en composition colorée différentes afin d’expertiser avec précision la situation météorologique.

L’image ci-dessus, en composition colorée, permet d’identifier différents types de nuages…
- Bleu clair à cyan : nuages bas d’eau liquide ;
- Vert : nuages de l’étage moyen en train de se développer composé de glace et d’eau ;
- Jaune: nuage de plus grande extension verticale (sommets plus hauts), nuages épais avec de la glace au sommet, cumulonimbus ou zone frontale.
Le saviez-vous ?
Pour les prévisionnistes de Météo-France, les images satellites servent principalement à voir la position, la forme, la nature et le déplacement des nuages, notamment pour la prévision immédiate des cellules orageuses. C’est crucial en mer, là où les observations sont rares. D’une manière générale, l’imagerie satellitaire est une manière d’observer la réalité et de s’assurer que les modèles météo sont pertinents pour réaliser une prévision. Une fois la prévision faite, l’image satellite permet également d’évaluer la conformité des prévisions et de les ajuster si nécessaire.
Lire aussi : Les systèmes d’observation de Météo-France
Quelques exemples d’images satellite
Les nouvelles générations de satellites, qui bénéficient de meilleures résolutions, permettent d’encore mieux discriminer les différents éléments qui constituent les nuages ou les différents phénomènes atmosphériques.
Anticyclone des Açores

Sur l’image satellite ci-dessus, une vaste zone peu nuageuse sur l’océan Atlantique matérialise l’anticyclone des Açores. Quelques tâches marron indiquent cependant la présence de nuages bas. Au nord, une vaste perturbation s’enroule en spirale autour de son centre (dépression).
Nuances turquoises et rues de cumulus

Image du satellite SENTINEL-2, le 06/11/2025 à 11 h 18 UTC : le soleil brille sur la Bretagne. Le littoral est complètement dégagé et quelques cumulus se développent à l'intérieur des terres. Aidés par le flux de sud-ouest, ils s'organisent en longues lignes parallèles, que l'on appelle aussi "rues de cumulus". Aux deux extrémités de l'image, les villes de Nantes et Lorient se distinguent. En mer, les forts coefficients de marée participent à la formation de courants qui créent ces magnifiques nuances de turquoise.
Fumée d’incendie de forêt

Sur cette image satellite européenne, un vaste panache de fumée apparaît suite à un incendie déclenché dans le quartier des Pennes-Mirabeau (au nord de Marseille) et brûle plusieurs centaines d’hectares du 7 au 9 juillet 2025. En jaune orangé, un traitement de l’image satellite permet de mieux visualiser le foyer de l’incendie.
Neige et mistral

Les 2 principaux massifs de France ne sont pas logés à la même enseigne (3/11/2025). La preuve avec cette image satellite, dévoilant un manteau blanc bien présent sur les Alpes, alors que les sommets pyrénéens n'en sont pas ou très peu pourvus. Sur le reste du pays, ce sont des nuages bas qui sont présents, notamment des cumulus, reconnaissables à leur forme plus ou moins ronde et bourgeonnante. Au large du golfe du Lion, les teintes plus claires de la mer trahissent la présence du mistral.
Perturbation

Sur l’image satellite ci-dessus, on voit un enroulement nuageux en forme de spirale, autour du cœur d’une dépression située au large du continent européen. La bande nuageuse épaisse et large qui se rapproche des côtes matérialise une perturbation pluvieuse et venteuse.
Tempête

La dépression Benjamin se trouve sur l’image satellite ci-dessus (23/10/2025) en mer du Nord, à proximité du Bénélux. La perturbation associée s’enroule en spirale autour du centre. Plus à l’ouest, sur l’océan et l’ouest de la France, on voit le ciel de traîne (trame granulée) qui suit la perturbation, avec son cortège de nuages parfois porteurs d’averses. La première tempête de la saison 2025-2026 en France se nomme Benjamin et occasionne des rafales jusqu'à 130 km/h sur le littoral de la Manche ainsi que sur la façade atlantique.
Lire aussi : Comment choisit-on le nom des tempêtes ?
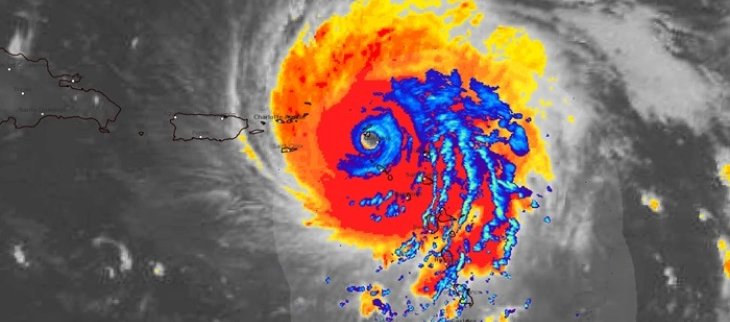
Melissa, un des ouragans les plus violents dans les Caraïbes

Image du satellite GOES-19, le 28/10/2025 à 12 h UTC : le jour se lève sur l'île de la Jamaïque et l'œil du puissant ouragan Melissa, l'un des plus violents enregistrés dans l'Atlantique nord, approche. C’est un cyclone de catégorie 5 sur l’échelle de Saffir-Simpson, ce qui en fait un phénomène pouvant occasionner des dégâts catastrophiques et menacer les vies humaines. La pression au centre est estimée à 892 hPa et les rafales maximales à plus de 340 km/h. Il se déplace vers le nord-nord-est en direction de la Jamaïque et son œil approche de la côte sud. Sur cette image du satellite américain, la structure du système apparaît parfaitement circulaire, témoignant de la force extrême des phénomènes physiques en cours.
Lire aussi : Ouragan, cyclone ou typhon ?

On voit l’oeil du cyclone se former au fur et à mesure que la pression baisse en son centre et que le cyclone se renforce.
Dans l’oeil du cyclone

Voici l'image de l'œil de Melissa, juste avant qu'il ne touche terre le 28 octobre 2025. On y voit une zone peu nuageuse et temporairement calme au cœur de l'ouragan, c'est-à-dire l'œil du cyclone. La mer est ainsi visible, dans des zones sans nuages, qui alternent avec des nuages bas.